2026年2月19日の釣果情報
※2026年2月19日釣果情報🐟
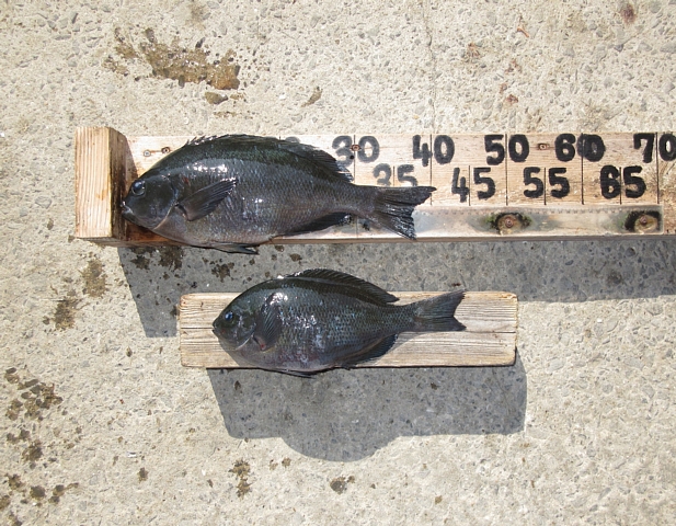
大津さん🙂 クチブトクロ40㎝、37,5㎝、37㎝、35㎝4枚、34㎝を、フカセ釣りで釣られたそうです。その他、クチブトクロ33㎝、30㎝、オナガクロ30㎝~足裏サイズも釣られたそうですが、小ぶりの魚はリリースされたそうです。合計14枚持ち帰えられてました。
うねり波が🌊高い中、クチブトクロ40㎝、37,5㎝など、合計14枚持ち帰り、お見事でした✨🎉。
川津さん🙂 クチブトクロ40,7㎝、33㎝を、フカセ釣りで釣られたそうです。その他、クチブトクロ30㎝、オナガクロ30㎝~足裏サイズも釣られたそうですが、リリースされたそうです。
クチブトクロ40,7㎝、お見事でした✨🎉。
その他の磯瀬では、フカセ釣りのお客様は、クチブトクロ36㎝、35㎝~33㎝~30㎝、オナガクロ30㎝、足裏サイズを、釣られてました。小ぶりの魚はリリースされたそうです。
フカセ釣りの複数(2名)お客様で、クチブトクロ【40㎝~45㎝級】複数回(9回・2回)ヒットしたそうなのですが、残念ながらバラシ【根ズレ瀬ズレ・すっぽ抜け】たそうです😔。次回、リベンジ、頑張られてください💪。
うねり波が🌊高く、貝瀬近辺、当番瀬・18番瀬、20番瀬・予約のお客様は釣行厳しくて、波裏磯瀬での釣行となりました、うなり波が🌊高い中、正午過ぎ、最終まで皆さんお疲れ様でした🙇♂️。



